На информационном ресурсе применяются cookie-файлы. Оставаясь на сайте, вы подтверждаете свое согласие на их использование.
МОСТ РАДУГИ. Об ушедших от нас любимых животных.
510938
1000
Давно эту тему не поднимали, а тут за несколько дней- и так много смертей (
Как жалко и обидно, что уходят любимые души
Мягкой вам всем травки на Радуге.
Как жалко и обидно, что уходят любимые души



Ljaguha
guru
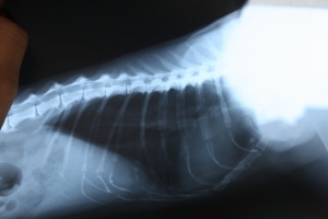
Сегодня мне пришлось усыпить Марго, кошечку из этой и этой темок.
Мы сделали все, чтобы продлить ее жизнь, сделать ее счастливой.
Но, к сожалению, онкология у кошек развивается стремительно.
Несмотря на сделанные операции, лечение травами - вчера ночью Марго стала задыхаться.
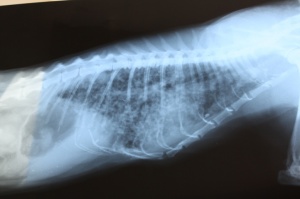
Рентген сегодня показал полное поражение легких - развились метастазы.
Мы облегчили ей путь на Радугу, очень гуманно, в хорошей клинике.
Спасибо всем, кто помогал Марго: Лене - лучшей передержке в мире!
Оле, Наташе, Косте, Анне, Наталье Леонидовне, Кате, докторам ЦВК.
Мы подарили Марго 8 месяцев жизни, большую часть которых она была счастлива.
Сейчас она на Радуге.
Мы сделали все, чтобы продлить ее жизнь, сделать ее счастливой.
Но, к сожалению, онкология у кошек развивается стремительно.
Несмотря на сделанные операции, лечение травами - вчера ночью Марго стала задыхаться.
Рентген сегодня показал полное поражение легких - развились метастазы.
Мы облегчили ей путь на Радугу, очень гуманно, в хорошей клинике.
Спасибо всем, кто помогал Марго: Лене - лучшей передержке в мире!
Оле, Наташе, Косте, Анне, Наталье Леонидовне, Кате, докторам ЦВК.
Мы подарили Марго 8 месяцев жизни, большую часть которых она была счастлива.
Сейчас она на Радуге.
Господи, да что ж такое...
Девочки, Оля, alisat -- плачу вместе с вами.
Мягкой травки кошенькам...








Девочки, Оля, alisat -- плачу вместе с вами.
Мягкой травки кошенькам...
маришкa
junior
действительно, я всё плачу и плачу..так больно..




Какой сегодня грустный день, столько потерь
Дашенька и Маргоша, теплого вам солнышка и мягкой травки на Радушке.
Так больно...


Дашенька и Маргоша, теплого вам солнышка и мягкой травки на Радушке.
Так больно...



sue_ndrion
veteran
Сейчас читают
Юбилейные 1, 2, 10, 25-ти рублевые монеты РФ!!! (часть 3)
413773
1000
КОФЕЙНЯ (часть 6)
278258
1000
Музыка... Та музыка, какая нужно..
398389
904
Сегодня мне пришлось усыпить МаргоДевочки, держитесь...

Как много смертей! Спасибо всем, кто оплакал Диночку. Она была очень доброй собакой, ко всем подбегала с поцелуями, никогда не ела сразу - сначала ласкалась, подставляла пузико для поглаживаний. Она в глазах у меня стоит. Такая страшная смерть, не было, оказывается, никакого наркоза, спасти было невозможно, травмы просто жуткие. Но теперь ей уже не больно. Пусть там они все встретятся и будут играть вместе. И с моим Малышом, и со всеми кошечками и собачками, которые так нас любили. А они изначально всех любят и страдают за нас.
gutculka69
old hamster
Оля, Лена, я плачу с вами. Как жалко девочку.
Вы окружили ее своей заботой. К сожалению коварные болезни забирают наших любимых звериков у нас.
У Лены кошка была обласкана, я это знаю, Лена окружила ее вниманием, согрела своим теплом, кошка жила в любви и заботе, как хозяйская. Лена не делит никогда кошек на своих и чужих. Маргоше повезло с вами, девочки.
Крепитесь. Мягкой травке тебе, милая кисонька.
Вы окружили ее своей заботой. К сожалению коварные болезни забирают наших любимых звериков у нас.
У Лены кошка была обласкана, я это знаю, Лена окружила ее вниманием, согрела своим теплом, кошка жила в любви и заботе, как хозяйская. Лена не делит никогда кошек на своих и чужих. Маргоше повезло с вами, девочки.
Крепитесь. Мягкой травке тебе, милая кисонька.

Сегодня мне пришлось усыпить Марго...


Елена,держитесь.Диночке яркого солнышка...
Алиса,мои слова сочувствия...Ласкуше Дашеньке мягкой травки...
Ljaguha
guru
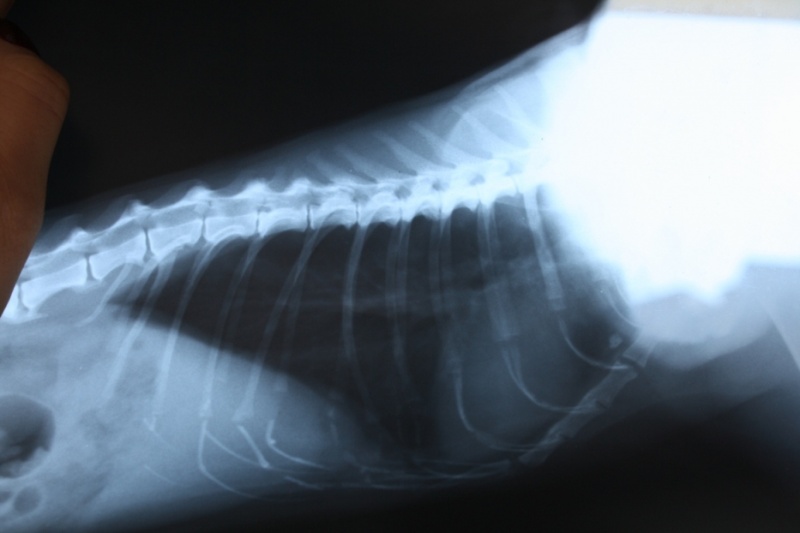
Лена, мне меньше всего.
Ты ее приютила и заботилась о не больше всех.
Мы сделали, все, что могли.
Она ушла легко и быстро.
С таким поражением легких у нее не было шансов.
Рентген, который мы у тебя нашли, кажется еще я делала - там нет метастаз.
С одной метастазиной наверное у Ольги.
А вот в сравнении:
Ты ее приютила и заботилась о не больше всех.
Мы сделали, все, что могли.
Она ушла легко и быстро.
С таким поражением легких у нее не было шансов.
Рентген, который мы у тебя нашли, кажется еще я делала - там нет метастаз.
С одной метастазиной наверное у Ольги.
А вот в сравнении:
Пусть всем зверушкам ТАМ будет хорошо.
Маргоша
Лена, крепись. Вот только недавно видела её, а уже вчера она ушла.... навсегда....
Маргоша

Лава_Лагуна
alles in ordnung
я возила один раз зимой Марго в ЦВК. Она всю дорогу со мной разговаривала из своего контейнера, несмотря на отсутствие зуба у нее это хорошо получалось, и не боялась она нисколько чужого человека... Мягкой травки тебе, Маргоша
Оля, только сейчас зашла сюда, не знала что есть такая темка. И про Марго не знала. Понимаю, что вариантов не было. Мешает воспоминание, как она жила на столе
Спасибо Вам за Маргошу.

Спасибо Вам за Маргошу.
подскажите, как пережить смерть любимца.
ведь сердце верить не хочет что его больше нет.
в квартире так пусто без него..невыносимо тяжело находится тут..
я так скучаю по тебе, малыш..
ведь сердце верить не хочет что его больше нет.
в квартире так пусто без него..невыносимо тяжело находится тут..
я так скучаю по тебе, малыш..
Татьяна197
v.i.p.
Я не знаю как пережить. На третий год после смерти первого котика поняла, что фраза "Время лечит" не пустой звук. Только время боль притупляет и остается просто память.
На момент смерти первого котика(на аватарке) в доме было еще 9 кошек/котов. Забота о них не отвлекала меня от мыслей о Барсике. В первый год редкий день был без слез по нему.
Кормила котов и вспоминала Барсика как бы он шкодно ел, просил лапкой, не стало луж от него около горшка, так я думала - пусть бы лужа была лишь он живой был.
Так что я плохой советчик. Но все равно наличие других кошек спасает от постоянного воспоминания. Оставшихся начинаешь сильней любить.
Если у Вас нет больше кошек, то спустя какое-то время возьмите сироту-подобрашку и подарите любовь и заботу ему или ей, пусть и мисочки, игрушки перейдут к новому питомцу как завещание от вашего любимца.
Есть даже такое стихотворение: "Завещание кошки".
На момент смерти первого котика(на аватарке) в доме было еще 9 кошек/котов. Забота о них не отвлекала меня от мыслей о Барсике. В первый год редкий день был без слез по нему.
Кормила котов и вспоминала Барсика как бы он шкодно ел, просил лапкой, не стало луж от него около горшка, так я думала - пусть бы лужа была лишь он живой был.
Так что я плохой советчик. Но все равно наличие других кошек спасает от постоянного воспоминания. Оставшихся начинаешь сильней любить.
Если у Вас нет больше кошек, то спустя какое-то время возьмите сироту-подобрашку и подарите любовь и заботу ему или ей, пусть и мисочки, игрушки перейдут к новому питомцу как завещание от вашего любимца.
Есть даже такое стихотворение: "Завещание кошки".
Ну, тут каждый ищет свой путь. Я не могла переносить пустоту, и практически сразу- в течение недели!- в моём доме появился маленький комочек шерсти- Алиска, взятая здесь же, на форуме. Новый питомец ни в коем случае не заменит старого, Нюсенька и сейчас в моём сердце, но новые заботы, новые проказы, новые впечатления- немного отвлекло от грусти. И ещё- важно, что я опять была нужна, от меня зависела жизнь... Словом, мне помогло. Но знаю- многие не могут так. Всё очень лично.
Универсального рецепта нет. Я зажигала свечи - реальные и виртуальные. Еще помогает вода. Становишься под душ и представляешь, как вода смывает и уносит тоску, оставляет только память. Как-то легче делается.
Ну и потом, когда будете готовы, возьмите нового питомца. Только не ищите в нем своего ушедшего котика. Просто любите, и все.
Ну и потом, когда будете готовы, возьмите нового питомца. Только не ищите в нем своего ушедшего котика. Просто любите, и все.
С их уходом возникает невероятная пустота...
Мне помогало появление в доме нового котенка. Изначально отдавала себе отчет, что новый не будет таким же, что другой характер, другие повадки, другой взгляд -- да все другое, ибо он сам другой. Но брала. И тоже любила, тоже заботилась.
Когда в ноябре пришлось усыпить Барсика, наличие другого кота в доме не спасало от пустоты: и я привыкла, что их двое, и Рыжик привык к юному приятелю, ходил его искал... Потому практически сразу начала искать котенка. Безумно люблю обоих, но до сих пор плачу по Барсику. Да и на фотографии предыдущих своих двух Рыжиков без слез не могу смотреть.
Время не лечит, оно лишь притупляет боль. Но появление других любимцев помогает заполнить пустоту. Да и другим котятам также нужны теплый дом и любящие родители.
Мне помогало появление в доме нового котенка. Изначально отдавала себе отчет, что новый не будет таким же, что другой характер, другие повадки, другой взгляд -- да все другое, ибо он сам другой. Но брала. И тоже любила, тоже заботилась.
Когда в ноябре пришлось усыпить Барсика, наличие другого кота в доме не спасало от пустоты: и я привыкла, что их двое, и Рыжик привык к юному приятелю, ходил его искал... Потому практически сразу начала искать котенка. Безумно люблю обоих, но до сих пор плачу по Барсику. Да и на фотографии предыдущих своих двух Рыжиков без слез не могу смотреть.
Время не лечит, оно лишь притупляет боль. Но появление других любимцев помогает заполнить пустоту. Да и другим котятам также нужны теплый дом и любящие родители.
Сегодня 4 года как не стало моего мальчика Милечки
Ушла ли боль? Нет, она всегда со мной. Может быть не такая острая, как первое время.
Стараюсь вспоминать только счатливые неполные 11 лет его жизни с нами, но всегда возвращаюсь к тому дню,
страшному дню, когда Миля умирал у меня на руках.
И слава Богу у меня есть три моих девчонки - кошечки.
Замкнув воспоминаний вереницу,
Упрятав в дальний из углов,
Пластмассовая косточка хранится -
На ней видны следы твоих зубов.
Любовь одно имеет измеренье,
И потому не брали мы в расчет,
Что человечье и собачье время
Для каждого по - своему течет.
И только у последнего предела
Оно внезапно выскочит, как тать.
Как мало дать любовь моя успела,
И как твоя сумела все отдать...
Когда уйду, отчаявшись согреться,
Искать тебя в созвездье Гончих Псов,
Пускай любовь возьмет на память сердце:
На нем видны следы её зубов.
(Л.Морозова-Цырлина)



Ушла ли боль? Нет, она всегда со мной. Может быть не такая острая, как первое время.
Стараюсь вспоминать только счатливые неполные 11 лет его жизни с нами, но всегда возвращаюсь к тому дню,
страшному дню, когда Миля умирал у меня на руках.



И слава Богу у меня есть три моих девчонки - кошечки.
Замкнув воспоминаний вереницу,
Упрятав в дальний из углов,
Пластмассовая косточка хранится -
На ней видны следы твоих зубов.
Любовь одно имеет измеренье,
И потому не брали мы в расчет,
Что человечье и собачье время
Для каждого по - своему течет.
И только у последнего предела
Оно внезапно выскочит, как тать.
Как мало дать любовь моя успела,
И как твоя сумела все отдать...
Когда уйду, отчаявшись согреться,
Искать тебя в созвездье Гончих Псов,
Пускай любовь возьмет на память сердце:
На нем видны следы её зубов.
(Л.Морозова-Цырлина)




gutculka69
old hamster
Время не лечит
Их не хватает, наших милых, любимых, дорогих звериков.

Девочки... столько потерь и за такое короткое время
Держитесь.
Время НЕ лечит, оно загружает новыми заботами...

Держитесь.
Время НЕ лечит, оно загружает новыми заботами...
anna91
activist
очень тронуло стихотворение(
привет кот .
ты прости что так долго не приходила,ты только не подумай-
я тебя не забыла.
мне плохо без тебя теперь,
некому открывать в 5 утра дверь,
не на кого поорать.
ты прости меня что я вела так себя :
кричала ,
била иногда.
знаешь я ещё думаю,что ты живой особенно когда прихожу усталая домой ,
по -привычке включаю свет и зову тебя,а тебя нет.
твои миски остались ,я их берегу ,
насыпаю туда кстати тебе еду.
помнишь как раньше :я иду на кухню ,а ты сзади бежишь за мной ,я ругалась что ты слишком озорной.
а помнишь когда я открывала дверь ,
ты постоянно выбегал -свободы хотел .
вот уже как 3 года прошло.
мама выкинула твои миски ,говорит :"это было давно"
фото которые были на флешке ,удалились в какой-то спешке.
и вроде бы ничего у меня не осталось от тебя .
но это не так ,
самое главное это что я тебя никогда не забуду,
память она лучше всего.
Я ЛЮБЛЮ ТЕБЯ моё озорное любимое существо.
привет кот .
ты прости что так долго не приходила,ты только не подумай-
я тебя не забыла.
мне плохо без тебя теперь,
некому открывать в 5 утра дверь,
не на кого поорать.
ты прости меня что я вела так себя :
кричала ,
била иногда.
знаешь я ещё думаю,что ты живой особенно когда прихожу усталая домой ,
по -привычке включаю свет и зову тебя,а тебя нет.
твои миски остались ,я их берегу ,
насыпаю туда кстати тебе еду.
помнишь как раньше :я иду на кухню ,а ты сзади бежишь за мной ,я ругалась что ты слишком озорной.
а помнишь когда я открывала дверь ,
ты постоянно выбегал -свободы хотел .
вот уже как 3 года прошло.
мама выкинула твои миски ,говорит :"это было давно"
фото которые были на флешке ,удалились в какой-то спешке.
и вроде бы ничего у меня не осталось от тебя .
но это не так ,
самое главное это что я тебя никогда не забуду,
память она лучше всего.
Я ЛЮБЛЮ ТЕБЯ моё озорное любимое существо.
Леди Меламори
veteran
Реквием по собаке
Среди озябших сосен и берёз
На краешке октябрьского леса –
Там ты лежишь, мой златошёрстный пёс,
Под земляным полуметровым прессом.
И нору эту рыл себе не ты –
Мы, люди, у обоих по лопате…
А ты – ты даже толком не остыл –
Лежал, завёрнут в праздничную скатерть.
Увы, собакам не положен гроб.
Землёй и дёрном запечатываем нору –
А ветер крутит над тобой калейдоскоп,
Перераскладывая пёстрые узоры.
И не сегодня-завтра ляжет снег –
Теперь уже не поприветствуешь его ты…
Двенадцать лет ты с нами жил как человек.
Удачной! – по ту сторону! – охоты!
(с)
Среди озябших сосен и берёз
На краешке октябрьского леса –
Там ты лежишь, мой златошёрстный пёс,
Под земляным полуметровым прессом.
И нору эту рыл себе не ты –
Мы, люди, у обоих по лопате…
А ты – ты даже толком не остыл –
Лежал, завёрнут в праздничную скатерть.
Увы, собакам не положен гроб.
Землёй и дёрном запечатываем нору –
А ветер крутит над тобой калейдоскоп,
Перераскладывая пёстрые узоры.
И не сегодня-завтра ляжет снег –
Теперь уже не поприветствуешь его ты…
Двенадцать лет ты с нами жил как человек.
Удачной! – по ту сторону! – охоты!
(с)
мурзикон
member
Добрый день,друзья которые любят животных.У меня погиб 3 ня назад любимый кот "Мурзик",четверг 31 мая 2012года в 2 часа.3 долгих дня,не могу забыть любимого кота,всегда кажется он где-то рядом,помню самые любимые моменты,как мы с ним игрались,как я его обнимал и целовал
вижу его любимое место,сижу и начинаю реветь.Мне 15 лет мальчик,но все равно не могу никак сдержать слезы.Смотрю на фотографии,плачу 3 дня немогу прийти в себя.Жил с нами 8 практически 9 лет,взяли на улице одинокого,маленького котёнка с 2-го класса я с ним неразрулимы.Постоянно приходил со школы,он прибегал начинал мурлыкать,мяукать,и тут сразу бросал портфель и 2 часа непрерывно с ним игрались.У него была мочекаменная болезнь,ходили по вет лечебницам хоть антибиотики ставить,они блин не знаю как их назвать,не делают етого.Зачем спрашивается становиться ветеринаром если ничего не умеет?Котетор не хотел ставить,не хотел видеть как он мучается с котетором,ето была бы не жизнь.1 раз мочекаменная болезнь отступила,2 тоже,а вот на 3-ий раз он мучался ужасно,за ето я себя виню.2 дня лежал просто не шевелясь,я ему давал таблетки через шприц(без иглы)но болезнь не отступала,как я думал в другие разы всё пройдёт.Потом на 3-ий ето в четверг было мы решились поехать в город,чтобы там что-то врачи посоветовали,но как только мы отъехали,он так посмотрел на меня,вздохнул последний раз и умер,в машине.Если бы я знал я бы лучше его дома оставил чтобы он умер хотя бы в родном месте.Потом мы вернулись я дико плакал,хоть ниразу в жизнь никогда не плакал.Если бы мы раньше хоть на миг успели,я молил Бога чтобы он дал ему жизнь,но всёравно он погиб.Сейчас каждый раз убираю лоток куда он ходил,налил ему воды,несу с улицы травы,хоть знаю что он умер.Мне кажется что он где-то рядом.Я постоянно смотрю на кровать,где он лежал на против меня,смотрю на балкон откуда он постоянно выбегал,смотрю фотографии и не могу ничего сказать.Если бы я только знал,я бы ему все самые теплые слова сказал,я бы его обнял,поцеловал,но я опоздал.Когда он умер я тогда понял что немогу больше ему ничего сказать,не обнять,ни поцеловать,ни сказать как сильно я его любил и люблю сейчас.Я его похоронил в 1 день,каждый день хожу на могилку в лес.Я надеюсь что действительно Мост Радуги существует,что ему там хорошо,что у него много новых друзей,и его болезнь исцелилась.Я веню себя за то что не смог дать ему всю свою любовь,я был слеп,думал что всё пройдёт.Я с ним не попрощался
даже.Я себя ненавижу.Я не обнял его,ничего не сказал,просто смотрел как его закапывают.Тепер немогу услышать его мурлыкание,немогу с ним поиграться,я даже его не погладин в последний момент.Ненавижу себя,он так мучался 2 дня не спал,ни ел,лучше бы сразу усыпить его,лучше бы умер не мучаясь.Вот я хотел спросить,если он умер по дороге,его душа сможет найти дорогу домой,там где его любят,чтобы он 40 дней провёл рядом с нами?и правильно ли я сделал что на 1 день похоронил,или надо было на 3-ий?И вот ещё говорят что некоторым людям коты снятся,что они рядом,что их душа рядом,а почему мне не снится?почему я ничего не чувствую,или просто кот не хочет быть с нами,не хочем видить не знаю почему?.Я его любил всем сердцем,всей душой,пытаюсь ночью гладить его во снах,но он не приходит ко мне.Не могу успокоится,если мы все неправильно сделали и если он не на Мосту Радуги,блин я так за ето переживаю,я надеюсь мы с ним там встретимся,очень сильно надеюсь,он всегда будет в моем сердце,в моей душе.Скажите пожалуста что он там,что я не сделал ничего плохого.Я практически схожу с ума,думая что мы не встретимся,я очень хочу чтобы он мне приснился,и почуствовать его лапки его мурлыкание,его встретить очень хочу.Говорят ещё что душа Мурзика может слится с душой другого кота?И что можно узнать по дороге другого кота в котором душа Мурзика,и он тоже меня узнает,но сколько я хожу зову всех котов,никто не похож на Мурзика,и все практически убегают,я не знаю что делать.Умоляю расскажите мне всё.Я из-за етого курить начал,не могу успокоится.Я раньше курил,но не так как сейчас,одну за другой.


жалко только фотографии,повезло хозяевам у которых есть видео с их любимыми животными,а так много моментов было с Мурзиком

Очень сочувствую Вам, плачу вместе с Вами
, очень красивый котик был Мурзик, пишите Вы про него с огромной любовью, значит, он был счастлив.
Все животные попадают в рай, на мост с радугой. Что бы Вы ни сделали, не подумали, ваш котик обязательно будет там, по-другому не бывает.
И он обязательно вернется, может не так скоро как хочется, может быть, он будет совсем другой по цвету шерстки, может он будет кошечкой, но он вернется, точно, точно вернется, и вы его узнаете.
а курить вредно, это не помогает



Все животные попадают в рай, на мост с радугой. Что бы Вы ни сделали, не подумали, ваш котик обязательно будет там, по-другому не бывает.
И он обязательно вернется, может не так скоро как хочется, может быть, он будет совсем другой по цвету шерстки, может он будет кошечкой, но он вернется, точно, точно вернется, и вы его узнаете.
а курить вредно, это не помогает
Ребенок, отпусти уже кота. Пока ты о нем постоянно думаешь - он не попадет на радугу и не приснится тебе.
Сделанного не воротишь. Антибиотики при мочекаменной болезни не помогают, к сожалению. Нужна специальная диета и лекарства. Говорят еще, что операции - очень благодарная вещь при МКБ - надолго отпускает...
Я тоже когда похоронила своего старого (17 лет) кота (у него сердце остановилось просто) очень корила себя за то, что так быстро его похоронила, не сказала ему ласковых слов на прощанье.... Позже я поняла, что это просто был шок. Это со временем проходит. А коты... Они не перестают нас любить после смерти, как и мы их... И когда ты сам успокоишься - твой кот тебе обязательно приснится. Вот тогда ты поймешь, что он попал уже на радугу... Мягкой травки ему там и яркого солнышка...
А курить бросай, плохая привычка.
Сделанного не воротишь. Антибиотики при мочекаменной болезни не помогают, к сожалению. Нужна специальная диета и лекарства. Говорят еще, что операции - очень благодарная вещь при МКБ - надолго отпускает...
Я тоже когда похоронила своего старого (17 лет) кота (у него сердце остановилось просто) очень корила себя за то, что так быстро его похоронила, не сказала ему ласковых слов на прощанье.... Позже я поняла, что это просто был шок. Это со временем проходит. А коты... Они не перестают нас любить после смерти, как и мы их... И когда ты сам успокоишься - твой кот тебе обязательно приснится. Вот тогда ты поймешь, что он попал уже на радугу... Мягкой травки ему там и яркого солнышка...
А курить бросай, плохая привычка.
Как же жалко которебенка!
Вы держИтесь.
Возможно, он к Вам вернется когда-либо. В другом совсем обличье, но сразу поймете, что это -- он.
Возможно, стоит взять сейчас котенка. Ушедшего он не заменит, ибо во всём -- другой. Но сгладить боль поможет. Да и Вы его полЮбите (судя по Вашему постингу). А далее... Может, и Ваш любимец после вернется -- другим... будут жить вдвоем.
Мурзику

Вы держИтесь.
Возможно, он к Вам вернется когда-либо. В другом совсем обличье, но сразу поймете, что это -- он.
Возможно, стоит взять сейчас котенка. Ушедшего он не заменит, ибо во всём -- другой. Но сгладить боль поможет. Да и Вы его полЮбите (судя по Вашему постингу). А далее... Может, и Ваш любимец после вернется -- другим... будут жить вдвоем.
Мурзику


Татьяна197
v.i.p.



Не терзайте себя, что Вы что-то не так сделали. Как бы мы в таких ситуациях не поступали, то потом все равно кажется, что надо было сделать все по-другому, но это потом....

Вам 15 лет, подросток, Вы плачете. Мой сын взрослый человек, но он тоже заплакал, когда врачи предложили усыпить нашего Барсика (у него было почечная недостаочность).
Когда есть настоящие чувства, то не важно ребенок ты, или взрослый, мужчина или женщина - слезы естественны в минуты горя.
Мягкой травки на Мосту радуги вашему любимцу. Пусть прангматики говорят, что это сказки, Вы для себя верьте, что это есть кошачий и собачий рай и котику там хорошо, как и всем ушедшим туда нашим хвостатым любимцам.
Каждое несчастье нас чему-то учит. В память о своем красивом пушистом друге к другому питомцу (если появится у Вас) Вы будете внимательнее.
Да, и не курите. Кошки не любят запах табака и их шерстка хорошо впитывает его.
мурзикон
member
Благодорю всех за сочуствие,теперь я понимаю что есть люди добрые,которым не всеравно,которые преживают за других.Спасибо вам огромное,вы мне очень сильно помогли.Просто прошло всего 3 дня,а я так и несу ему травки с улицы и думаю что он меня встретит своим мяуканьем))Или когда ухожу всеравно оборачиваюсь,думаю как всегда он меня будет провожать.Спасибо всем огромное ещё раз 

а как думаете,можно ли отнести все игрушки к нему на могилку?,мисочку где он кушал.Просто я не знаю кто-то может туда заглянуть,увидеть все ето,и посмотреть для чего,и откопать его,я не знаю стоит ли отнести всё к нему?
gutculka69
old hamster
Я вам очень сочувствую, молодой человек. И плачу, потому как ваш рассказ взял за душу.
Одно скажу, если бы все дети были такие, как вы, добрые и заботливые по отношению к животным, то у нас не было бы столько бездомных животных на улицах.
Мы игрушки и любимую подстилку положили вместе с нашим котиком в коробочку, когда хоронили.
Думаю, что вам не стоит привлекать внимание сейчас.
Крепитесь.

Одно скажу, если бы все дети были такие, как вы, добрые и заботливые по отношению к животным, то у нас не было бы столько бездомных животных на улицах.
Мы игрушки и любимую подстилку положили вместе с нашим котиком в коробочку, когда хоронили.
Думаю, что вам не стоит привлекать внимание сейчас.
Крепитесь.
мурзикон
member
спасибо большое за теплые слова и за сочувствие
Татьяна197
v.i.p.
Не надо класть на могилку ничего, т.к. наш народ еще не весь чувствует так как мы с Вами. И какие-нибудь дети или подростки (плохо воспитанные) шутки ради могут потревожить покой вашего котика.
Вот если бы у нас были кладбища для животных (как за рубежом), то тогда другое дело.
Я каждый год просто корм сухой насыпаю, когда с мужем ходим проведать могилку. И птички заодно поклюют, если захотят.
Вот если бы у нас были кладбища для животных (как за рубежом), то тогда другое дело.
Я каждый год просто корм сухой насыпаю, когда с мужем ходим проведать могилку. И птички заодно поклюют, если захотят.
лола3
v.i.p.
Кстати, есть ещё один момент. Думаю, ваш Мурзик будет рад, когда его "хозяйство" обретёт нового хозяина. Есть такое "Завещание кошки"- к сожалению, у меня его текст погиб на другом компе. Так вот смысл- завещаю своё место в доме, подстилку, миски, игрушки- и любовь хозяина- другой, бездомной, чтбы было хоть на одно счастливое сердечко больше. Нет, новый любимец никогда не заменит его, ушедшего. Он будет другим- но будет так же любить. Особенно в этом плане благодарны подобрашки, избежавшие благодаря Вам жизни в голоде и холоде- а то и похуже.
Это вовсе не значит, что нужно брать котёнка прямо сейчас- не все могут впустить новую любовь в сердце сразу, некоторым нужно время. Слушайте своё сердце, оно подскажет... И не корите себя- Мурзик точно знал, как Вы его любили. Они это чувствуют гораздо лучше и отчётливей, чем мы.
Это вовсе не значит, что нужно брать котёнка прямо сейчас- не все могут впустить новую любовь в сердце сразу, некоторым нужно время. Слушайте своё сердце, оно подскажет... И не корите себя- Мурзик точно знал, как Вы его любили. Они это чувствуют гораздо лучше и отчётливей, чем мы.
мурзикон
member
Спасибо за совет,буду делать также.Поэтому я и беспокоился,кто знает что они могут сделать,а мне не хочется чтобы могилку кто-нибудь потревожил.Надеюсь теперь у него пройдёт боль и все невзгоды.Он со мной был и в радости и в горе,и всегда утешал.Теперь мой долг проследить всю жизнь за его покоем.И я никому не дам потревожить его могилку.Пусть земля ему будет пухом.Спасибо всем Вам,мои друзья,теперь я понял что вот какие настоящие друзья,форум замечательный и люди все в нём замечательные,я очень сильно всем благодарен,и буду с вами всегда))))Теперь Вы настоящие мои друзья если что в любое время всегда обращайтесь,чем смогу хотя я немного знаю))всем я Вам помогу,всего хорошего друзья мои





спасибо,может должно время пройти я подумаю взять котёнка,но пока время ещё не пришло.Спасибо вам за "Завещание кошки"я даже такого незнал.Спасибо вам друзья мои,теперь я полюбил вас всем сердцем и душой,я понял что вы не бросите в нужный момет и всегда готовы помочь.Благодоря Вам мне стало намного легче.Спасибо Всем Вам огромное! 

Ларис, "Завещание кошки" в т.ч. в этой теме кто-то из наших девочек постил. Может, даже ты -- этого не помню, но оно точно здесь было.
Вот, что есть у меня.
ЗАВЕЩАНИЕ КОШКИ
Маргарет Троутон
Когда люди умирают, они оставляют завещание, чтобы передать свое жилище и все, что у них есть, тем, кого они любят.
Если бы я могла писать, я бы тоже оставила такое завещание.
Бедной, тоскующей, одинокой бездомной кошке я бы оставила
мое чудесное жилище,
мою мисочку,
мою уютную кроватку,
мою мягкую подушечку,
мои игрушки
и мои любимые колени,
и ласковые гладящие руки,
и милый голос,
и место, которое я занимала в твоем сердце,
и твою любовь, которая в конце пути поможет мне уйти тихо и без страданий лежа в любимых руках.
Когда я умру, пожалуйста, не говори: "Я больше никогда не заведу себе животных, слишком тяжела потеря!"
Найди одинокую, никем нелюбимую кошку, пусть она займет мое место.
Завещаю это тебе.
Любовь, которую я оставляю, - это все, что я могу дать.
Вот, что есть у меня.
ЗАВЕЩАНИЕ КОШКИ
Маргарет Троутон
Когда люди умирают, они оставляют завещание, чтобы передать свое жилище и все, что у них есть, тем, кого они любят.
Если бы я могла писать, я бы тоже оставила такое завещание.
Бедной, тоскующей, одинокой бездомной кошке я бы оставила
мое чудесное жилище,
мою мисочку,
мою уютную кроватку,
мою мягкую подушечку,
мои игрушки
и мои любимые колени,
и ласковые гладящие руки,
и милый голос,
и место, которое я занимала в твоем сердце,
и твою любовь, которая в конце пути поможет мне уйти тихо и без страданий лежа в любимых руках.
Когда я умру, пожалуйста, не говори: "Я больше никогда не заведу себе животных, слишком тяжела потеря!"
Найди одинокую, никем нелюбимую кошку, пусть она займет мое место.
Завещаю это тебе.
Любовь, которую я оставляю, - это все, что я могу дать.
Татьяна197
v.i.p.
Таня, это то стихотворение. Когда-то я его здесь размещяла, потом когда страниц стало много его постила tishasya (Оля). Может кто еще.
Не могу его спокойно читать, также как и стихотворение про ушедших собак.
Не могу его спокойно читать, также как и стихотворение про ушедших собак.

мурзикон
member
Бродит кот...
Мы сидим, взаперти , в наших тёплых квартирах
и чего-то от жизни хорошего ждём,
а взгляни - за окном, в голом скверике стылом
бродит кот под осенним холодным дождём.
Он не жалуется на судьбу и погоду --
- всё равно его некому выслушать здесь...
С лап стряхнув осторожно холодную воду,
свою жизнь принимает такою, как есть.
Посмотреть на него - вроде даже доволен
он кошачьим таким положением дел:
всё равно изменить ничего в нём не волен,
как бы этого он всей душой ни хотел.
Ему в радость найти тёплый люк, чтоб погреться,
и навес от дождя, не мочить чтоб хвоста.
Знает он, что от осени некуда деться,
ну а солнечный день - это просто мечта...
Счастлив он, что случайный прохожий
не ударит его ни за что, просто так,
от того, что луч солнца, на лето похожий,
приласкает его - разве ж это пустяк?
Люди мимо проходят, спеша как обычно,
на кота только мельком взлянув на пути.
Утвердились мы все в этой мысли привычной,
сложно в мире счастливей кого-то найти:
Мол у кошки семь жизней, мол ходит, где хочет
и гуляет, к тому же, сама по себе,
да и может ли кот чем-то быть озабочен?
Человечьей сочувствовать надо судьбе!
И никто не подумает мыслить иначе,
в плен захвачен делами и нынешним днём,
и никто не заметит, что кот тихо плачет,
сидя в сквере под грустным осенним дождём...
Ты, спеша, поутру, не гонись за часами
и кота повстречав в лабиринте аллей,
посиди рядом с ним, почеши за ушами --
- мир от этого станет намного теплей.
Он тебе благодарен за это участье,
по кошачьи, без громких напыщенных фраз,
ведь котам, как и людям - так хочется счастья;
да и друга нашёл себе каждый из вас
Найдено в Интернете
Мы сидим, взаперти , в наших тёплых квартирах
и чего-то от жизни хорошего ждём,
а взгляни - за окном, в голом скверике стылом
бродит кот под осенним холодным дождём.
Он не жалуется на судьбу и погоду --
- всё равно его некому выслушать здесь...
С лап стряхнув осторожно холодную воду,
свою жизнь принимает такою, как есть.
Посмотреть на него - вроде даже доволен
он кошачьим таким положением дел:
всё равно изменить ничего в нём не волен,
как бы этого он всей душой ни хотел.
Ему в радость найти тёплый люк, чтоб погреться,
и навес от дождя, не мочить чтоб хвоста.
Знает он, что от осени некуда деться,
ну а солнечный день - это просто мечта...
Счастлив он, что случайный прохожий
не ударит его ни за что, просто так,
от того, что луч солнца, на лето похожий,
приласкает его - разве ж это пустяк?
Люди мимо проходят, спеша как обычно,
на кота только мельком взлянув на пути.
Утвердились мы все в этой мысли привычной,
сложно в мире счастливей кого-то найти:
Мол у кошки семь жизней, мол ходит, где хочет
и гуляет, к тому же, сама по себе,
да и может ли кот чем-то быть озабочен?
Человечьей сочувствовать надо судьбе!
И никто не подумает мыслить иначе,
в плен захвачен делами и нынешним днём,
и никто не заметит, что кот тихо плачет,
сидя в сквере под грустным осенним дождём...
Ты, спеша, поутру, не гонись за часами
и кота повстречав в лабиринте аллей,
посиди рядом с ним, почеши за ушами --
- мир от этого станет намного теплей.
Он тебе благодарен за это участье,
по кошачьи, без громких напыщенных фраз,
ведь котам, как и людям - так хочется счастья;
да и друга нашёл себе каждый из вас
Найдено в Интернете
не знаю стих ли это или нет,но очень трогательный.не могу спокойно его читать.надеюсь Мурзик в будущем не будет против,если такое произойдёт,что я возьму нового котенка
Автоинформатор
guru
Топик закрыт. Продолжение здесь